Rotselaar, Varentstraat 2
198 000 euro
Beschrijving
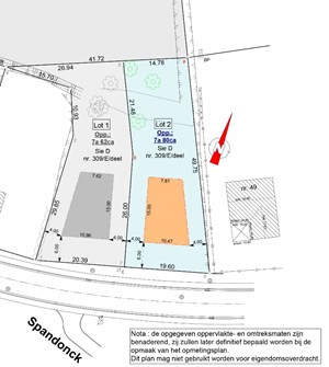
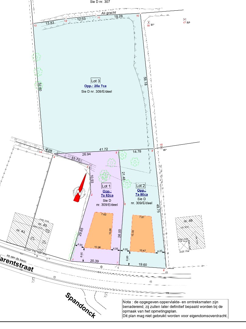
Perceel bouwgrond voor open bebouwing met een oppervlakte van ± 7a 80ca. Perceelbreedte: 19,60m. Bouwbreedte: ± 10,47m. Lot 2 uit een goedgekeurde verkaveling (OMV_2022072764). Oriëntatie: noordnoordwest. Gvg, Wg, Gmo, Vkr, Vv. P-score: D. Achterliggend perceel van ± 25a 07ca kan eventueel bijgekocht worden (Gvg, Lwag, Gmo, Vkr, Gvv - P-score: D).SAMENVATTING STEDENBOUWKUNDIGE VOORSCHRIFTEN :
Zie downloads voor de voorschriften.
DIVERSEN :
Gas aanwezig in voorliggende straat.
Een definitief opmetingsplan zal nog worden opgemaakt door Dekrem Vastgoed & Landmeten. De kosten van de opmeting zijn ten laste van de koper alsook het aandeel in de kosten voor het opmaken van de verkavelingsakte. Het achterliggende perceel (lot 3) werd uit de verkaveling gesloten. De opmetingskosten hiervan zijn ten laste van de koper.
STEDENBOUWKUNDIG :
Stedenbouwkundige vergunning : nee
Stedenbouwkundige bestemming : woongebied
Geen rechterlijke herstelmaatregel of bestuurlijke maatregel opgelegd.
Voorkooprecht : ja (de Vlaamse Waterweg)
Verkavelingsvergunning : ja
P-score: D
Algemene gegevens
| Adres: | Varentstraat 2 Rotselaar |
| Referentie: | 6046 |
| Vraagprijs: | € 198.000 |
| Type: | Grond |
| Beschikbaar vanaf: | Bij akte |
| Perceeloppervlakte: | 7,80 are |
| Perceelbreedte: | 20 m |
| Type constructie: | Traditioneel |
| Gevelbreedte: | 10 m |
Indeling
| Tuin: | Ja |
| Tuin oriëntatie: | Noord-West |
| Tuin kwaliteit: | Aan te leggen |
In de buurt
winkels
scholen
restaurants
Bakkerij
Meer info?
Contacteer ons
Contacteer ons
Downloads
Wettelijke info
Stedenbouwkundige vergunning: Neen
Voorkooprecht: Ja
Verkavelingsvergunning van toepassing: Ja
Stedenbouwkundige bestemming: Woongebied
Geen afgebakende zones: Geen afgebakende zones
Overstromingsgebied: Geen afgebakende zones
Voorkooprecht: Ja
Verkavelingsvergunning van toepassing: Ja
Stedenbouwkundige bestemming: Woongebied
Geen afgebakende zones: Geen afgebakende zones