Haacht, Vinkstraat 20
180 000 euro
Beschrijving
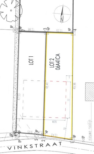
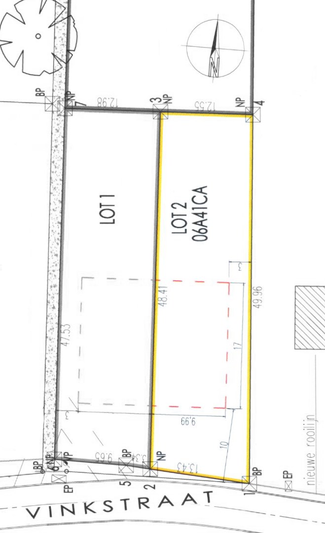
Perceel bouwgrond voor halfopen bebouwing met een oppervlakte van 06a 41ca. Goede verbindingen met privaat- en openbaar vervoer door de nabijgelegen bushalten (Wijgmaalsesteenweg) en het treinstation van Wespelaar. Perceelbreedte aan het straat: 13,43m. Bouwbreedte: ± 9,99m. Het perceel bouwgrond maakt als lot 2 deel uit van een niet-vervallen verkavelingsvergunning. Oriëntatie: noorden. Gvg, Wglk, Gmo, Gvkr, Vv. P-score: B. Geen bouwverplichtingen opgelegd in de verkaveling.SAMENVATTING STEDENBOUWKUNDIGE VOORSCHRIFTEN :
Zie downloads voor de voorschriften.
DIVERSEN :
Gas aanwezig in voorliggende straat.
STEDENBOUWKUNDIG :
Stedenbouwkundige vergunning : nee
Stedenbouwkundige bestemming : woongebied met landelijk karakter
Geen rechterlijke herstelmaatregel of bestuurlijke maatregel opgelegd.
Voorkooprecht : nee
Verkavelingsvergunning : ja
P-score: B
Algemene gegevens
Adres: | Vinkstraat 20 Haacht |
Referentie: | 6242 |
Vraagprijs: | € 180.000 |
Type: | Grond |
Beschikbaar vanaf: | Bij akte |
Perceeloppervlakte: | 6,41 are |
Perceelbreedte: | 13 m |
Perceeldiepte: | 48 m |
Type constructie: | Traditioneel |
Gevelbreedte: | 10 m |
Indeling
Tuin: | Ja |
Tuin oriëntatie: | Noord |
In de buurt
winkels
scholen
restaurants
Bakkerij
Meer info?
Contacteer ons
Contacteer ons
Downloads
Wettelijke info
Stedenbouwkundige vergunning: Neen
Voorkooprecht: Neen
Verkavelingsvergunning van toepassing: Ja
Stedenbouwkundige bestemming: Woongebied met landelijk karakter
Overstromingsgevoelig:
Geen overstromingsgevoelig gebied
Geen afgebakende zones: Geen afgebakende zones
Overstromingsgebied: Geen afgebakende zones
Voorkooprecht: Neen
Verkavelingsvergunning van toepassing: Ja
Stedenbouwkundige bestemming: Woongebied met landelijk karakter
Overstromingsgevoelig:

Geen afgebakende zones: Geen afgebakende zones