Verkocht

Beschrijving

! IN OPTIE - COMPROMIS IN OPMAAK !
Deze gezellige half open bebouwing in het rustige Tremelo is een ideaal project voor de doe-het-zelvers onder ons!
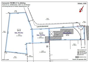
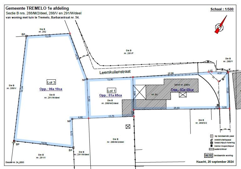
Het huis, gebouwd in 1960, ligt op het einde van een doodlopend zijstraatje van de Barbarastraat en heeft een totale perceeloppervlakte van 10a 84ca (zie voorlopig opmetingsplan op onze website - definitieve opmeting: KK) en een bewoonbare oppervlakte van 140 m².

De woning beschikt over 2 slaapkamers, wat ideaal is voor een klein gezin of een koppel dat graag wat extra ruimte heeft. Er is naast de leefruimte, de keuken en de badkamer, ook een veranda en een ruime berging met alle technieken. De tuin, georiënteerd naar het westen, is de perfecte plek om te genieten van de zon en de rust. Achteraan is er nog een weide. Daarnaast zijn er ook 2 parkeerplaatsen op het perceel.

Het centrum van Tremelo met alle faciliteiten bevindt zich op 2 Km. Goede verbindingsmogelijkheden met privaat en openbaar vervoer naar Keerbergen, Aarschot en Haacht.

Met een EPC energielabel F is deze woning onderhevig aan de renovatieverplichting. Voor meer informatie, raadpleeg: https://www.vlaanderen.be/een-woning-kopen/renovatieverplichting-voor-residentiele-gebouwen-vanaf-2023.

Zin om jouw handen uit de mouwen te steken en deze woning om te toveren tot jouw nieuwe thuis? Maak dan snel een afspraak!

INDELING:
Overdekte inkom met toegang tot de leefruimte. Rechts is een slaapkamer die ook als bureel kan gebruikt worden. Aansluitend vind je de leefkeuken, ingericht met toestellen, toegang tot de badkamer en een sas (aansluiting wasmachine) dat leidt naar de tweede slaapkamer, de lichtrijke veranda, een bijkeuken en een ruime berging met alle technieken.
Buiten: parkeerplaatsen op de oprit, tuin (1a 65ca) en weide (6a 10ca).

DIVERSEN:
Ramen in hout en aluminium met dubbel glas. CV op stookolie. Aansluitbaar op aardgas.
De percelen dienen nog definitief opgemeten te worden. Kosten voor de koper: 1.350 euro (excl. 21% BTW). De koper dient ook zijn aandeel in de verdelingsakte te betalen.

WETTELIJKE VERMELDINGEN:
Bestemming: woongebied - niet gelegen in een verkaveling - geen voorkooprecht - geen gerechtelijke maatregelen - vergund.
Watertoets: P- en G- score: A